Wiadomości z Sosnowca

Sosnowiec: Buspas poprawi bezpieczeństwo w dzielnicy Zagórze

  • Dodano: 2020-05-04 10:00

34 wypadki, 35 osób rannych w tym 12 potrąceń to bilans wypadków na ulicy Braci Mieroszewskich i 11 Listopada tylko w 2018 i 2019 roku.

Wliczając do tego kolizje i groźne zdarzenia otrzymujemy bardzo smutny obraz tych ulic. Mimo wielu policyjnych kontroli kierowcy nie respektują ograniczeń prędkości, które oprócz wyprzedzania na przejściu dla pieszych są najgroźniejszym powodem wypadków w tych ulicach. Rozwiązań i poważnych zmian prowadzących do poprawy bezpieczeństwa oczekują oraz mieszkańcy.

Zagórze to najludniejsza dzielnica Sosnowca, przez którą codziennie przejeżdża wielu kierowców

Prosta, dwupasmowa droga zachęca do rozwijania zbyt dużych prędkości, zdecydowanie przekraczających 50km/h. Liczba zdarzeń, szczególnie w okolicach przejść dla pieszych jest ogromna. Dlatego na tych zagórskich ulicach zostanie wprowadzone sprawdzone w centrum miasta rozwiązanie czyli buspas poprawiający komfort podróżowania komunikacją publiczną, a zarazem przyczyniający się do ograniczenia prędkości samochodów osobowych. Wprowadzana organizacja ruchu nie jest ostateczna, jeśli nie przyniesie wzrostu bezpieczeństwa kierowców i pieszych Miasto poszuka innych rozwiązań.

O tym, że takie rozwiązanie się sprawdziło potwierdzają statystyki wypadków. Przed przebudową ulicy 3 Maja tylko w 2016 roku doszło na niej do 3 potrąceń pieszych w tym jednego śmiertelnego. Po zakończeniu prac i wprowadzeniu buspasa w 2019 roku nie odnotowano żadnego wypadku z udziałem pieszego - ŻADNEGO. Wszystko dlatego, że spadła prędkość z jaką kierowcy w tej chwili przejeżdżają przez ulicę 3 Maja.

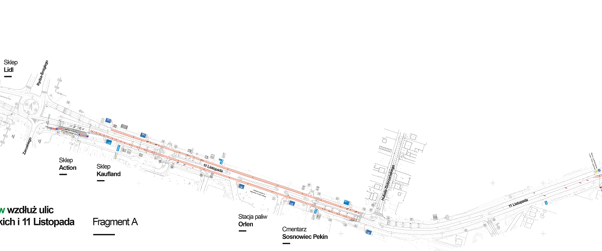
Buspas będzie obowiązywał w godzinach od 5.00 do 23.00 od skrzyżowania ulicy 11 Listopada i Hubala Dobrzańskiego do wysokości hali MOSiR przy ulicy Braci Mieroszewskich niedaleko granicy z Dąbrową Górniczą. Wzorem rozwiązań zastosowanych w centrum miasta buspas nie będzie obowiązywał przed samymi skrzyżowaniami. Oprócz komunikacji publicznej będą po nim mogły jeździć także taksówki.

Zmiany będą również dotyczyły odcinka ulicy 11 Listopada od skrzyżowania z ulicą Hubala-Dobrzańskiego do ronda Żołnierzy Wyklętych. Na tym odcinku droga w obrębie przejścia dla pieszych zostanie zwężona do jednego pasa. Kierowcy poruszający się lewym pasem, będą musieli zjechać na prawy. Ograniczenie będzie wprowadzone przy pomocy wymalowania martwego pola na jezdni oraz montażu separatorów przytwierdzanych do nawierzchni drogi. Takie ograniczenia będą obowiązywały na obu kierunkach.

Wprowadzanie nowej organizacji ruchu potrwa co najmniej kilka dni roboczych.

Komentarze (3)    dodaj »

  • Sosnowiczanin

    Po co komu ten buspas przeciez tam nigdy nie było problemów z korkami. Dziwna ta inwestycja

  • Mieszkaniec zagorza

    Kolejny poroniony pomysł. Na 3 maja nie ma świateł co 50m a tu się zrobi drugi krakow.

  • xyz

    Pomysłodawca z minimalnym IQ. Nie dlatego wcześniej wybudowano szerokie eleganckie ulice by teraz stawiać na nich szykany. "Gratulacje" dla pomysłodawcy.Jakiś czas temu na ul. Andersa na wysokości sklepu ogrodniczego również postawiono szykanę, a po kilku miesiącach wybudowano przejśćie dla pieszych, jak mniemam dla uwierzytelnienia potrzeby budowy szykany, które od strony torów zamykała barierka przez co było nieużyteczne a jeszcze póżniej barierkę usunięto i wykonano przejście przez tory, w zasadzie nie używane. Indolencja urzędnicza ma wiele twarzy.A gdyby tak każdy urzędnik brał odpowiedzialność finansową za swoje decyzje ?

Dodaj komentarz

chcę otrzymać bezpłatny newsletter portalu Sosnowiecki.pl.

Publikowane komentarze są prywatnymi opiniami użytkowników portalu.
Wydawca portalu nie ponosi odpowiedzialności za treść opinii.

Czytaj również